Wohngrundstück
71254 Ditzingen
ca. 420 m2
Erschlossen
609.000 Euro
Ausstattung
Objektnummer:
196.630
PLZ/Ort:
71254 Ditzingen
Grundstückfläche:
ca. 420 m2
Erschließung:
Erschlossen
Objektbeschreibung
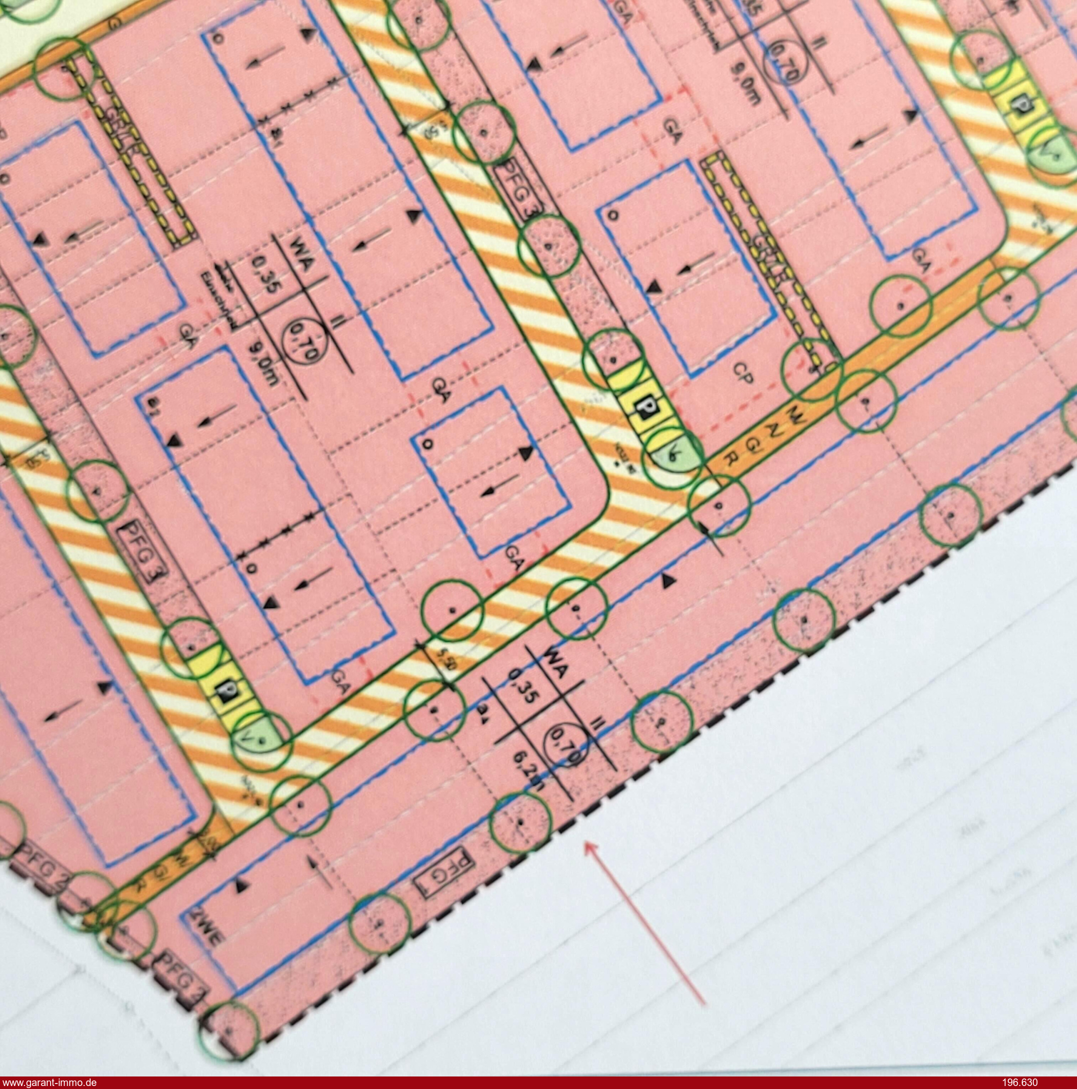
Die Erschließung im Neubaugebiet "Ob dem Korntaler Weg" ist fast abgeschlossen und mit dem Neubau kann sofort begonnen werden. Direkt in sonniger Feldrandlage bieten wir Ihnen dieses schöne Grundstück an. Es hat eine Größe von ca. 420 m² und hat einen fast quadratischen Zuschnitt. Es kann mit einem zweigeschossigen Wohngebäude bebaut werden. Die GRZ beträgt 035 und die GFZ 070. Als Dachform ist ein begrüntes Pult oder Flachdach mit 8° Dachneigung vorgesehen. Weitere Informationen wie den Bebauungsplan und den Texteil dazu können Sie gerne bei uns anforden.
Sehr schönes Grundstück in begehrter Feldrandlage. Gleich anrufen und Besichtigung vereinbaren !
Sehr schönes Grundstück in begehrter Feldrandlage. Gleich anrufen und Besichtigung vereinbaren !
Lage
* Direkt in sonniger Feldrandlage gelegen.
* Kindergarten, Schulen und Einkaufsmöglichkeiten
am Ort vorhanden.
* Gute Anbindung an den ÖPNV duch S-Bahn.
* Kurzer Weg Zur Autobahn A81 und B10 bzw. B295
* Kindergarten, Schulen und Einkaufsmöglichkeiten
am Ort vorhanden.
* Gute Anbindung an den ÖPNV duch S-Bahn.
* Kurzer Weg Zur Autobahn A81 und B10 bzw. B295
Kosten
Kaufpreis:
609.000 Euro
Preis/m²:
1.450 Euro
Provision für Käufer:
4,76 % (Prozent des Kaufpreises inkl. Mwst ¹)
Sonstiges
Sämtliche Angaben beruhen auf Angaben des Verkäufers und wurden von GARANT nicht geprüft. Hierfür haftet GARANT nicht.
¹ inkl. 19% Mwst. Deutschland (20% in Österreich)
¹ inkl. 19% Mwst. Deutschland (20% in Österreich)
* sofort bebaubar
* Flurstück Nr. 6694